An application has been received from GN Plastics for an addition to their existing light industrial use located at 315 Old Trunk 3. The proposed addition will cause the gross floor area for all structures on the site to exceed 2000 square meters. The Land Use By-law states that light industrial uses which exceed 2000 sq. m. in the Mixed Use Zone require a Development Agreement.
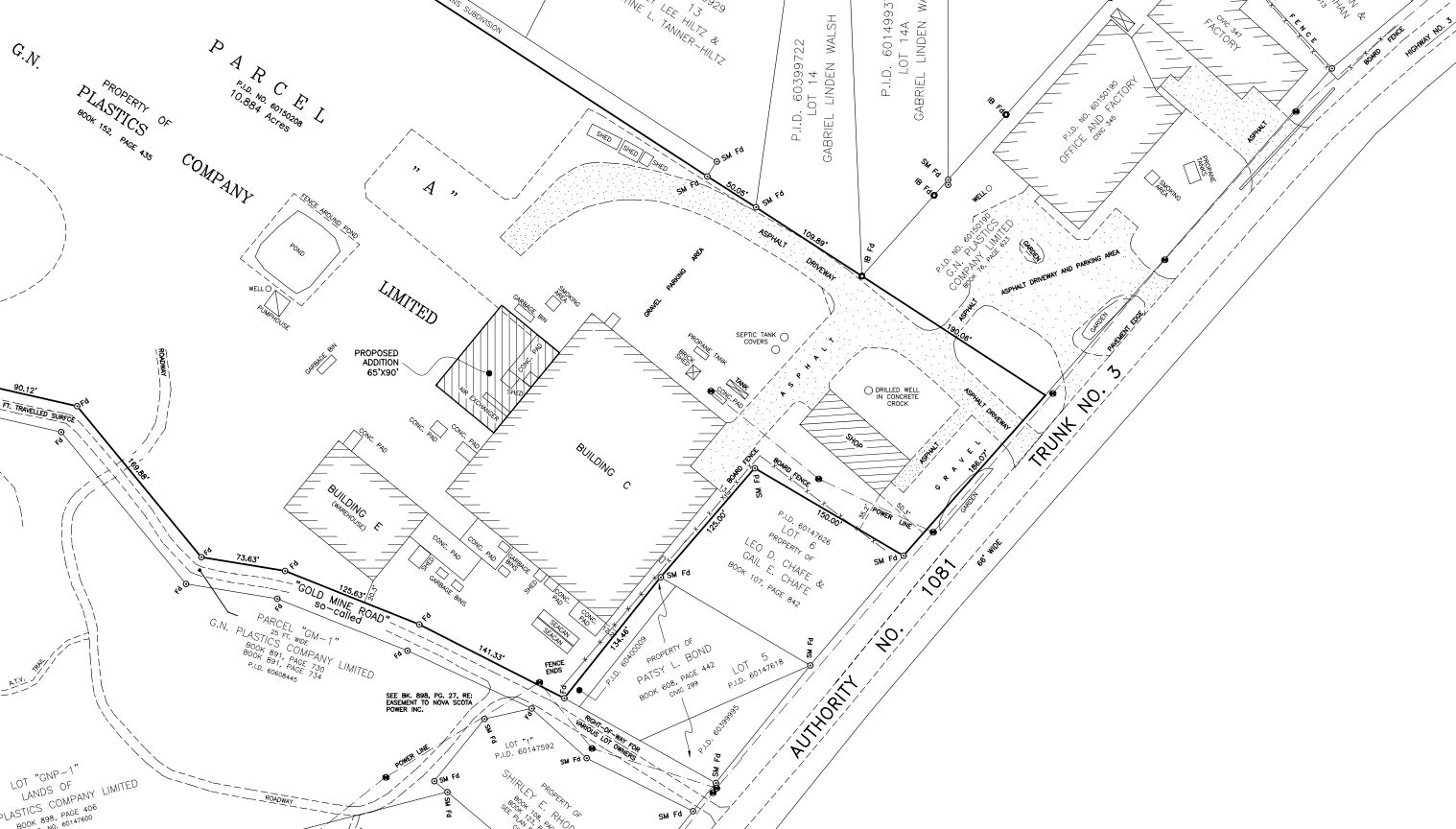
The addition, 65 ft x 90 ft, will be attached to the rear of the existing structure and is not anticipated to impact existing parking, screening or hours of operation at the site. A location certificate showing the existing land use and proposed addition has been submitted (click HERE to download larger image).

Due to the restrictions on gathering and Council related meetings under the Provincial State of Emergency, the normal practice of holding a Public Information Meeting is being replaced with this project page which will remain active throughout the approval process. A virtual Public Hearing is expected to be held in order for final consideration of the proposal at a future date. This virtual Public Hearing will be advertised in the Progress Bulletin and streamed online once dates have been set.
You can check out their website here: www.gncanada.com or watch this short video: Why Here featuring GN to learn about the company and what they do.